About
DE
EN
DE
EN
DE
EN
About
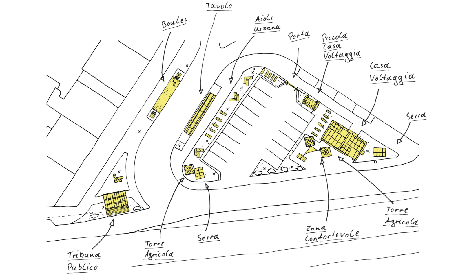
Pop-Up Garten
Simul et Singulis
City Leaks Urban Art Festival
April – Juni 2021
Köln, Deutschland
Chargesheimer Tunnel
Adega